Калушани часто носять у собі прихований (або не дуже) талант дослідника. Наше місто повне неймовірних історій, що долинають з різних кутків та виринають у найнеочікуваніших місцях. Сьогодні такою історією з нами вкотре поділився калуський історик і політолог Ярослав Куцій. Ми закликаємо усіх креативних митців Калуша і не тільки також долучатись до таких розповідей, оскільки вони дозволяють краще зрозуміти наш менталітет.
Ділиться Інформатор.
Друга світова війна прийшла у м. Калуш, як і в інші міста заходу України, у вересні 1939 року. Вже 19 вересня 1939 року в місті встановлено радянську владу, яка тримала свою окупацію до 6 липня 1941 року, коли була витіснена угорськими військами.
Одразу ж угорці наказали відкрити всі крамниці з табличками, що ідентифікують кожен “єврейський магазин”. Вони грабували магазини і все награбоване відправляти до Угорщини. Місцеві жителі скаржилися німецькому коменданту в Станиславові, що їхні союзники розкрадають “державне майно”. За два тижні німці запанували в місті, змінивши угорців.

Німецька військова комендатура (Ortskommandantur) короткочасно керувала містом до кінця липня 1941 року. 1 серпня 1941 року влада була передана німецькій цивільній адміністрації. Калуш спочатку був центром краю у дистрикті Галичина. На посаду крайсгауптмана (начальника повіту) було призначено доктора Фрідріха Герке (Dr. Friedrich Gercke) (з серпня 1941 по березень 1942; загинув на війні) та доктора Карла-Ганса Брошега (з березня 1942 по липень 1943). Підрайони Калуш, Войнилів, Долина, Болехів, Рожнятів, Вигода та Перегінське були включені до складу Району Калуш (Kreis Kalusz). У березні 1942 року Болехів увійшов до складу Крейс Стрий.

Всього за переписом населення 9 грудня 1931 року на Калущині проживало 16 720 євреїв. У липні 1942 року Крайсгауптманшафт Калуша було розпущено, а підокруги Калуш та Войнилів були включені до Станіславського округу. Решта районів — Долина, с. Рожнятів, Вигода та Перегінське — були долучили до складу Округу Стрий.

Ганс Крюгер — начальник гестапо у Станиславові, особисто брав участь у розстрілах. У місті були організовані антиєврейські акції, що здійснювалися поліцією безпеки (SipoAussendienststelle) у Станіславові. Пост очолив гауптштурмфюрер СС Ганс Крюгер (з кінця липня 1941 року до листопада 1942 року) і його заступник, унтерштурмфюрер СС Оскар Брандт (з листопада 1942 року).
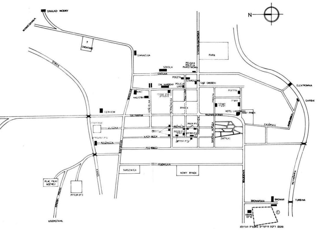
У Калуші було створено пост німецької кримінальної поліції (Kripo), пост німецької жандармерії та підрозділ української поліції. Ці підрозділи брали участь у винищувальних операціях, які проводилися у місті.
23–25 серпня 1941 року, незабаром після переходу влади до німецької цивільної адміністрації, до Калуша прибув загін поліції безпеки зі Станіславова. У першій акції загін заарештував і розстріляв 380 євреїв, переважно торговців і ремісників. У вересні 1941 року німецька жандармерія заарештувала і розстріляла ще 50 осіб.
Влітку 1941 року німецька військова адміністрація наказала створити Єврейську раду (Judenrat) і Єврейську поліцію (Jüdischer Ordnungsdienst), якою керував чеський біженець на ім’я Меммеліс. Вони служили для дотримання німецького порядку у місті. Єврейська поліція запровадила позначення євреїв білими пов’язками із зіркою Давида. Німці конфіскували величезну кількість єврейського майна, включно з будь-якими цінностями. Євреїв реєстрували і вимагали виконувати доручену трудову роботу.

Наприкінці 1941 року в Калуші було створено відкрите гетто (єврейський житловий квартал). Ті, хто проживав за межами визначеної території, були змушені переселитися в гетто, забираючи те, що могли перенести, та залишаючи, або намагаючись продати за дуже низьку ціну важчі речі, наприклад меблі. У гетто також відправляли євреїв, вигнаних із сусідніх сіл. Людей з місць поза межами гетто розміщували сім’ями або в синагозі. Умови життя стали надзвичайно тісними.

Було введено комендантську годину, яка вимагала від євреїв не виходити на вулиці після заходу сонця, навіть у межах гетто. Двоє євреїв, які порушили наказ, були застрелені на місці, що було чітким попередженням про суворе дотримання правил.
На юденрат було покладено обов’язок виконувати денну норму примусової праці. Ті, хто був направлений на роботу за межі гетто, отримували спеціальні ідентифікаційні картки та мали певний контакт із місцевим населенням, забезпечуючи можливий доступ до додаткової їжі. Деякі євреї платили великі хабарі, щоб отримати ці роботи. Серед найбільш бажаних місць для роботи були ферми, лісопилки, майстерні та різні німецькі фірми, що працювали в цьому районі.
Станом на квітень 1942 року в Калуському гетто проживало 6300 євреїв. Того ж місяця загін поліції безпеки зі Станиславова провів ще одну акцію у рамках операції “Рейнхардт”. Вони заарештували і розстріляли 800 євреїв лише за те, що їх визнали непридатними до праці. Після цієї акції в місті залишилося 5500 євреїв.
З плином місяців умови в гетто погіршувалися. Голод посилювався, особливо серед бідних, яким не було за що обміняти їжу. Юденрату вже не було що роздавати. Люди хилялися на вулицях, вмирали від голоду. Щодня збирали трупи для поховання в братських могилах на кладовищі. Будь-яка громадська діяльність припинилася. З усім тим багато людей підтримувалися життєвою силою, яка дозволяла їм подолати фізичні нестатки.

У серпні 1942 року кількість євреїв у Калуші знову зросла, оскільки німці переселяли в місто більше євреїв із сусідніх сіл. Загалом 209 єврейських сімей із сіл Перегінського підрайону, до якого входили Перегінськ, Угринів, Ясенів, Сівка, Ясень, Завій, Берлоги, Новиця, Грабівка та Камінь, були переселені до Калуша. Ще більше привозили з Рожнятівського підрайону.
Після того, як євреї були зосереджені в місті, пункт поліції безпеки в Станіславові восени 1942 року провів серію акцій, під час яких частину єврейського населення було вивезено до Станіславова і там вбито, а іншу депортовано до табору смерті у Белжеці (Польща). 15–17 вересня 1942 року 1200 євреїв з Калуша було перевезено до Станіславова, де їх розстріляли або разом з мешканцями інших міст депортували до Белжеця.

Остання велика акція, ймовірно, відбулася в середині вересня або в середині жовтня 1942 року (розповіді відрізняються). Через чутки про ще один велику акцію чистки люди несамовито намагалися сховатися в підвалах і на горищах, переважно в межах гетто.
На початку Акції гестапівці та українські поліцаї увійшли до гетто для облави по домівках. Близько 1200 осіб було захоплено, вони утримувались біля залізничного вокзалу. Більшість тих, хто переховувався, були виявлені і також заарештовані. Полювання тривало близько 36 годин. Потім в’язнів привезли до залізничного депо і повантажили у товарні вагони. Жертв, включаючи єврейську поліцію та керівників юденрату, перевезли до табору в Белжеці.

Не всіх вдалося схопити під час дводенної облави. Коли їхній голод посилювався, люди повільно вилазили зі схованок. Німці оголосили, що ті не постраждають. Вони наказали заснувати ще один юденрат на чолі з Берішем Геллером. На примусові роботи нікого не виганяли, харчі не роздавали. Наприкінці жовтня, або через кілька тижнів, уцілілий залишок був відправлений до Станіславова. Німці офіційно оголосили Калуш вільним від євреїв (judenrein).
30 липня 1944 року Червона армія звільнила Калуш від німців, встановивши довгу 47-річну окупацію над містом. Нацистську окупацію пережило менше десятка єврейських жителів, на що вказує Мойше Етінгер у меморіальній книзі Калуша:
"Тільки 17 із 7000 євреїв були врятовані з калуського гетто, лише чверть усього єврейського населення Калуша (…). Серед людей, які допомагали євреям під час ліквідації гетто, були працівники Товариства експлуатації калійних солей у Калуші Захаріаш Плаксій та його дружина Броніслава. Вони врятували Сару і Салома Сапіро та їхнього сина Хаїма, Давіда Гальперна, Міріам Гельфгот і Розію Унгір".
Родина Плаксій отримала відзнаку "Праведник народів світу".
На сайті Меморіального музею Голокосту знаходимо досить цікаві документи про надання посольством Сальвадору у 1943 році несанкціонованого громадянства єврейці Фейзі Адлер-Тайхберг, народженій у 1854 році у Калуші.
Сам по собі факт віднайдення такого документа є досить цікавим. Можливо ця особа була однією із тих осіб, хто вижив у калуському гетто, або ж покинула Калуш задовго до зайняття міста німцями. Можемо припускати, що вона могла врятуватися із калуського гетто та попрямувати далеко за океан у пошуках кращої долі.


Збереглася адреса на яку надсилали документи — проспект Жан Вольдер, 56, Сен-Жіль, Брюссель
Будьмо на зв’язку! Читайте нас у Facebook , Telegram та Instagram. Надсилайте свої новини на пошту kl.informator@gmail.com
Якщо маєте цікаві новини чи хочете замовити рекламу – телефонуйте 096 545 8237